
(仮称)北区中津5丁目計画 新築工事は、信和不動産が大阪市北区中津5丁目で計画しているオフィスビルです。新ビルは、鉄骨造、地上11階・地下1階建て、高さ59.95m、敷地面積1,574.36㎡、建築面積1,200.00㎡、延床面積10,750.00㎡の規模となります。建築主は信和不動産、設計はIAO竹田設計大阪第二事務所、施工者は未定。2026年12月上旬に着工し、2028年12月下旬に竣工する予定です。
計画概要

計画名称:(仮称)北区中津5丁目計画 新築工事
所在地:大阪市北区中津5丁目4-2外2筆(地番)
住居表示:大阪市北区中津5丁目(以下未定)
交通:―
階数:地上11階、地下1階
高さ:59.95m
構造:鉄骨造
主用途:事務所
総戸数:―
敷地面積:1,574.36㎡
建築面積:1,200.00㎡
延床面積:10,750.00㎡
容積対象面積:8,204.86㎡
建築主:信和不動産株式会社
設計者:株式会社IAO竹田設計 大阪第二事務所
施工者:未定
着工予定:2026年12月上旬
竣工予定:2028年12月下旬
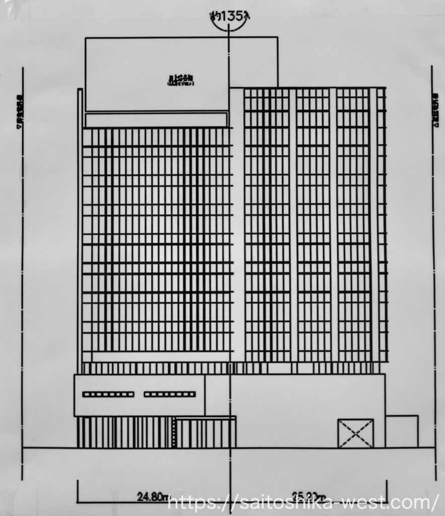
立面図・配置図

建築計画のお知らせに掲載されていた立面図です。

同じく配置図です。
2026年3月の様子

グラングリーン大阪北街区の西側エリアで、延床面積1万㎡級の中規模オフィスビル開発計画が浮上しました。今回の計画は、グラングリーン大阪の開発によって波及効果が期待されていた西側エリア再開発の第一弾といえる動きです。

この一帯は、これまで倉庫やコインパーキング、戸建住宅、マンションなどが混在し、高度利用が進んでいないエリアでした。しかし、グラングリーン大阪の整備によって梅田側との分断が解消され、大阪駅徒歩圏の開発用地としてのポテンシャルが一気に高まりました。これにより、土地の資産価値も大幅に向上したとみられます。

今後は、倉庫跡地など一定規模のまとまった敷地を中心に、タワーマンションやオフィスビルへの建て替えが進む可能性が高く、これからの10年で街並みが大きく変化していくことが予想されます。それは同時に、梅田圏がさらに西側へ広がっていくことを意味しており、かつて構想として語られてきた「グレーター梅田」が、30年以上の歳月を経て、いよいよ実体を伴って立ち上がる段階に入ったといえるのではないでしょうか。

建築主は信和不動産株式会社です。立面図を見ると、大きな塔屋看板が設置される計画となっているようです。ただ、グラングリーン大阪は次世代の大阪のイメージを醸成する戦略的なエリアだけに、景観面への配慮という意味でも、悪目立ちする塔屋看板の設置はできれば控えてほしいと感じました。

また、新ビルの高さは約60mに達するため、グラングリーン大阪 THE NORTH RESIDENCEの西側に面する低層階住戸では、眺望に一定の影響が生じる可能性があります。
Visited 5,657 times, 5,658 visit(s) today

